Montevideo Portal En departamentos del norte y litoral de Uruguay se vivieron sensaciones térmicas extremas durante este fin de semana, que se prevé que sigan incambiadas por lo menos hasta la madrugada del próximo lunes cuando llegarán las consecuencias de un ciclón extratropical. Según el observatorio MetSul, se trata de un “poderoso” fenómeno que en el caso de Brasil perdurará por cuatro días consecutivos. Entre lo que... + Leer noticia completa

Montevideo Portal El organismo meteorológico MetSul emitió este domingo una advertencia por la formación de un ciclón extratropical “severo” que impactará en los próximos días al sur de Brasil. En un comunicado firmado por el meteorólogo Luiz Fernando Nachtigall, la... + más
Metsul anuncia fin de semana de “calor extremo” que afectará a Uruguay con temperaturas cercanas a los 40°C | El Observador
A agarrarse: Metsul anuncia ciclón “poco común e intenso” y que “representa un peligro” | Montevideo Portal

El meteorólogo Nubel Cisneros anunció que este fin de semana será de playa total y que que se espera la llegada de un ciclón extratropical para la tarde-noche del próximo lunes. Este fin de semana en el norte y litoral la máxima alcanzará lo 40°, mientras que en el resto... + más
“A tener mucho cuidado”: meteorólogo confirma llegada de ciclón extratropical a Uruguay | Montevideo Portal
Viernes “agobiante”: máxima en el norte de 40° y en la costa de 34°, anunció Nubel Cisneros | Subrayado

Desde el jueves 4 de diciembre, las estaciones meteorológicas de Rio Grande do Sul ya registraron temperaturas elevadas, con máximas de 36,1°C en São Paulo das Missões y 35,6°C en Santa Rosa. Este viernes 5, las temperaturas seguirán aumentando, con máximas entre 32°C y... + más
Metsul advierte por “escenario meteorológico altamente peligroso” que afectará a Uruguay la próxima semana: los detalles | El Observador
Metsul anunció “anomalías” y suba de temperaturas que afectarían a Uruguay: los detalles | Montevideo Portal

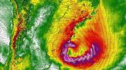
ciclone0512e.jpg Un ciclón que podría generar graves consecuencias Según los modelos numéricos de predicción meteorológica, como el estadounidense GFS, la ciclogénesis comenzará el martes 9, cuando dos zonas de baja presión en la atmósfera se combinarán, generando un... + más
Metsul anuncia fin de semana de “calor extremo” que afectará a Uruguay con temperaturas cercanas a los 40°C | El Observador
Metsul anunció “anomalías” y suba de temperaturas que afectarían a Uruguay: los detalles | Montevideo Portal

Montevideo Portal El meteorólogo Nubel Cisneros se refirió al ciclón extratropical que se prevé para Uruguay a partir del próximo lunes, que se intensificará entre la madrugada de ese día y la del martes. Cisneros, en diálogo con Montevideo Portal, indicó que el... + más
Metsul anuncia que este martes se desarrollará un ciclón que impactará a Uruguay con vientos fuertes: los detalles | El Observador
Metsul advierte por “escenario meteorológico altamente peligroso” que afectará a Uruguay la próxima semana: los detalles | El Observador
Según los análisis atmosféricos, este martes 2 una zona de baja presión comenzará a profundizarse a la altura del Río de la Plata. Se trata de un sistema que todavía no reúne las características de un ciclón extratropical —que exige mayor organización, estructura... + más
Metsul anunció “anomalías” y suba de temperaturas que afectarían a Uruguay: los detalles | Montevideo Portal
MetSul advierte que en Uruguay habrá “vendavales” por ciclón extratropical: cuándo y dónde | Montevideo Portal

Montevideo Portal El observatorio meteorológico MetSul anunció que la región tendrá fenómenos climáticos y especificó que serán tanto para Brasil y también tendrán incidencias en Uruguay. La masa de aire caliente que provocó temperaturas altas “comienza a... + más
Metsul anunció “anomalías” y suba de temperaturas que afectarían a Uruguay: los detalles | Montevideo Portal
La selección uruguaya de básquetbol debuta en las Eliminatorias para el Mundial 2027 con Panamá, ¿qué chances tiene de clasificar? | El Observador
Notibol. Desde 2006. Central de Noticias.
Notibol es un agregador informático de noticias y no es responsable del contenido de los enlaces a los sitios externos que generan las noticias.
Acerca de Notibol | Contacto | Política de Privacidad | Descargo de Responsabilidad